
(มีคลิป)เชียงใหม่-สำนักงานชลประทาน 1ดันโครงการปรับปรุงพนังด้านท้าย ปตร.ท่าวังตาล เข้ารับงบ 157 แสนล้าน เอกสารพร้อม คาดได้รับการพิจารณามิถุนายนนี้ หาผู้รับจ้างไม่เกินกันยายนได้ปุ๊บสร้างได้เลย คาดแล้วเสร็จในปีงบประมาณ 2569
ที่ประตูระบายน้ำในลำน้ำปิง (ปตร.ท่าวังตาล) ต.ป่าแดด อ.เมืองเชียงใหม่ นายอัฏฐวิชย์ นาควัชระ ผู้อำนวยการสำนักงานชลประทานที่ 1 (ผส.ชป.1) พร้อมด้วย นายเกื้อกูล มานะสัมพันธ์สกุล ผู้อำนวยการโครงการชลประทานเชียงใหม่ (ผคป.เชียงใหม่) ร่วมกันชี้แจงแนวทางและความคืบหน้าการดำเนินการแก้ไขปัญหาพนังด้านท้ายประตูระบายน้ำท่าวังตาล ซึ่งเกิดปัญหาไม่สามารถป้องกันน้ำในช่วงน้ำหลากท่วมได้ โดยเฉพาะพื้นที่ฝั่งซ้ายด้านท้ายประตูระบายน้ำท่าวังตาล

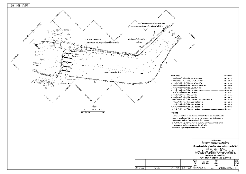
นายอัฏฐวิชย์ นาควัชระ ผู้อำนวยการสำนักงานชลประทานที่ 1 กล่าวว่า ตามข้อสั่งการของท่านรัฐมนตรีว่าการกระทรวงเกษตรและสหกรณ์ ให้แก้ไขปัญหาพนังน้ำปิงด้านท้ายประตูระบายน้ำท่าวังตาลที่มีระดับต่ำในช่วงวิกฤติน้ำท่วม ทำให้มีน้ำไหลเข้าท่วมพื้นที่เกษตรกรและชาวบ้าน ทางชลประทานได้สำรวจ ออกแบบ และตั้งงบประมาณในการดำเนินการ โดยจะทำพนังกั้นน้ำเพิ่มขึ้นในระยะทาง 370 เมตร และเพิ่มความสูงจากพนังเดิมขึ้นไปอีก 1.50 เมตร ซึ่งได้ทำการสำรวจ ออกแบบ และตั้งงบประมาณ เพื่อของบประมาณในปี 2568 ไว้แล้ว โดยจะใช้เงินจากงบฟื้นฟู ได้มีการเขียนแผนไปแล้ว รออนุมัติ เมื่องบประมาณมาถึงก็พร้อมดำเนินการให้แล้วเสร็จ

“คาดว่า งบประมาณน่าจะได้ช่วงรับการพิจารณาในช่วงเดือนมิถุนายนนี้ โดยจะต้องจัดหาผู้รับจ้างให้ทันภายในวันที่ 30 กันยา 2568 เมื่อได้ผู้รับจ้างก็จะดำเนินการก่อสร้าง ก็อาจจะแล้วเสร็จในปีงบประมาณ 2569 โดยจะเป็นแผนงานที่เสนอเพื่อใช้งบประมาณกระตุ้นเศรษฐกิจของรัฐบาล ในกรอบงบประมาณ 157,000 กว่าล้านบาท” ผส.ชป.1 กล่าว

นายเกื้อกูล มานะสัมพันธ์สกุล ผคป.เชียงใหม่ กล่าวว่า โครงการชลประทานเชียงใหม่ สำนักงานชลประทานที่ 1 ได้จัดทำโครงการปรับปรุงพนังป้องกันตลิ่งด้านท้ายน้ำฝั่งซ้าย พร้อมอาคารประกอบ ท้ายประตูระบายน้ำในลำน้ำปิง (ปตร.ท่าวังตาล) ต.ป่าแดด อ.เมือง จ.เชียงใหม่ ตั้งแต่ปี 2567 ซึ่งโครงการฯ รอเพียงการขอรับงบประมาณที่จะเข้ามาดำเนินการก่อสร้าง เมื่อรัฐบาลมีแผนการขับเคลื่อนเศรษฐกิจภายใต้กรอบวงเงิน 157,000 ล้านบาท ซึ่งเป็นการดำเนินการตามมติคณะรัฐมนตรี เมื่อวันที่ 6 พฤษภาคม 2568 ที่เห็นชอบตามที่นายกรัฐมนตรีเสนอให้ทบทวนแผนงาน ซึ่งโครงการปรับปรุงพนังป้องกันตลิ่งด้านท้ายน้ำฝั่งซ้ายมีความพร้อมทั้งแบบ รายการประกอบ และเป็นโครงการฯ ที่สอดคล้องกับแผนงานรัฐบาลในการแก้ไขปัญหาเรื่องน้ำและอุทกภัย ตัดขั้นตอนการรองบประมาณปกติ
ศูนย์ข่าวภาคเหนือ 24northernnews เชียงใหม่/รายงาน